廁所在整個家庭的風水布局中有著收濁納污的功效,因此廁所的風水也是需要非常注意的,不然污穢之氣不能很好的收納起來而是被排出來,非常容易對整個家庭的風水起到不良的效果,所以調節廁所的風水就尤為重要。那麼,廁所放什麼植物風水好呢?
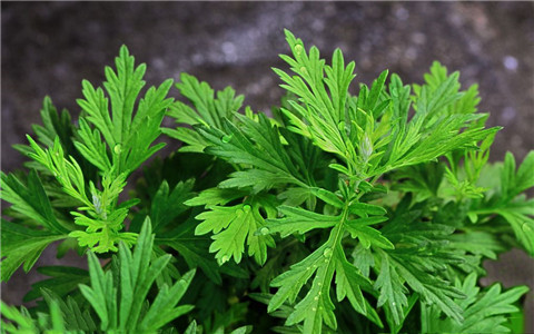
一、艾草
艾草屬於純陽之草,不僅能夠祛除人身體上的濁氣,對廁所的污穢之氣也能起到收斂的作用,把它養在廁所可以起到驅毒辟邪的效果。而且艾草的陽氣能夠很好的抑制住廁所中的陰濕氣,同時艾草的香氣還有著驅趕濁氣的效果,能夠使得廁所的空氣煥然一新。

二、平安樹
平安樹不僅能夠保護家人的平安,而且還有助於居住者的財運和事業運,同時平安樹還能夠釋放出清香的氣味,如果擺放在廁所的話不僅能夠清除濁氣的味道,而且還能緩解廁所的濕氣。

三、吊蘭
吊蘭又稱「空氣衛士」,它的整個植株有凈化空氣的作用,因此在廁所這種充滿污穢之氣的地方擺放吊蘭,可以防止潮濕的腐臭味滲到廁所外面影響居住者的運勢,同時吊蘭在吸納污穢之氣的時候會釋放出氧氣,可以有效避免污濁之氣對人體的影響。

四、虎尾蘭
虎尾蘭即便是在夜間也能夠吸收二氧化碳釋放氧氣,而且還會吸收室內部分的有害氣體,因此擺放在廁所裡面可以對廁所的污濁之氣進行清理,保證廁所的空氣質量。

五、一葉蘭
一葉蘭對風水有著很強的修復功能,對不好的風水能夠吸收再利用,所以把一葉蘭放在廁所可以吸收不好的氣場,然後在釋放出好的風水,使整個房子里的風水運勢得到提升。而且一葉蘭有著凈化空氣的作用,還能吸水一定的灰塵,對於廁所空氣質量也有著改善作用。

六、綠蘿
綠蘿是一種熱帶雨林植物,是比較適合生長在潮濕少光的環境中,所以在廁所里擺放綠蘿也是一個很不錯的選擇。而且綠蘿本身具有固化風水的作用,能夠凈化穢氣帶來好運,那麼在廁所里放綠蘿,能夠使住宅的風水減少很多不利的氣場,然後提升運勢。

七、薄荷
薄荷在風水上有驅邪避煞的作用,可以穩定住宅的風水,同時薄荷還有著抑制病菌、凈化空氣的作用。如果將薄荷養在廁所內,可以抑制廁所的病菌的滋生,同時薄荷的清涼之氣可以壓制廁所產生的污穢之氣。不僅如此,薄荷還有著提升生氣,催旺財運的效果。

廁所放植物的時候一定要考慮到它凈化空氣、抵擋煞氣和改變風水的三重功效,這樣才有利於廁所的風水向好的方向發展。
今人普遍認為,家中房前屋後種上幾株羅漢松,既可旺宅益主,為家人帶來安康吉祥,又寓意招財開運。風水界對於招財,有相對嚴格的看法,羅漢松有助修心、提升心智。養羅漢松.... ...
雖然人們都很注重房屋家居的風水,但是有些地方總是會被人們習慣性地忽略掉,例如廁所。很多人都喜歡在廁所門上掛上門簾,既可以保護隱私,也可以防止不好的空氣流向其他房.... ...
自來貓是吉還是凶?貓咪是我們生活中很常見的動物,不管是流浪貓亦或是家養的貓咪對於我們來說都不算是什麼稀罕的事情。畢竟現在很多人都會在自己的家中養一些貓貓狗狗的。.... ...
開車撞到鳥了會有什麼徵兆?養什麼鳥有好運?世界萬物皆有靈性,雖然人們在生活方面比動物植物更聰明,但在對自然的敏感度還是它們比較厲害,在當有什麼事情要發生時這些動.... ...
我們很多人都會在自己的家裡養一些小動物,例如貓。狗,兔子,松鼠等等。養蛇雖然做為一個特種養殖項目被部分人熟知,但還是有很多人怕蛇,提到蛇就起雞皮疙瘩!其實是對蛇.... ...
家裡有東西壞其實並不是什麼大驚小怪的事情,但是家裡的東西頻繁的壞掉,那麼這種時候大家是要好好的提高警惕的,通常這種時候大家的風水運勢是會受到一定的影響。那麼今天.... ...
蜘蛛在窗戶上結網有很多種說法,不一定都是好兆頭,所以要分情況,如果是蜘蛛吊的話,那就是好兆頭,如果蜘蛛結網很亂,那就說是太久沒有打掃了,會帶來不好的影響。蜘蛛結.... ...
家裡適合養小盼菩提。小盼菩提養在家中的好處很多,首先,小盼菩提的觀賞性較高,樹姿端莊,枝葉鬱郁蔥蔥、朝氣蓬勃,擺放在家中有生機有活力。其次,小盼菩提的寓意較好,.... ...
放銀柳沒有什麼特別的注意事項,但如果把銀柳放到客廳裡面是非常好的,有旺財的作用,銀柳的外形本身就比較好,從風水學的角度來說,銀柳的諧音還有銀子的意思,在客廳裡面.... ...